By allowing ads to appear on this site, you support the local businesses who, in turn, support local journalism.
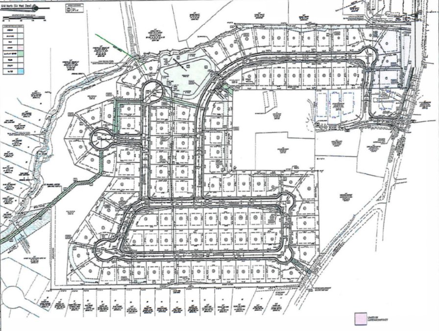
Next steps for a planned 102-home neighborhood in downtown Dawsonville
0304 DAWSONVILLE POINTE 2.jpg
Four homes in Piedmont Residential’s 102-home subdivision, shown in the upper right part of this site plan graphic, would lie in Dawsonville’s historic district. The rear of the homes would face Highway 53 in the historic area. Graphic courtesy of the City of Dawsonville.
The property doesn’t have to be rezoned, since it was already zoned R-3.